| Judges Rik van Miert, Hans-Heinrich BrĂ¼ning, Lucy Simpson, Bert van Wanrooij | ||||||||||||
|---|---|---|---|---|---|---|---|---|---|---|---|---|
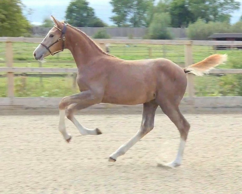
| Veterinary Comment | Mark 1 | Mark 2 | ||||||||||
| a little upright in front slight radial carpal epiphysitis left fore offset knee laterally toe out | 8 | 9 | ||||||||||
| Discipline | Show Jumping | |||||||||||
| Veterinary Assessment | ||||||||||||
| Stance of Forelegs | Over at the knee | X | Back at the knee | |||||||||
| Stance of Forelegs | Carpal valgus | X | Carpal varus | |||||||||
| Stance of Forelegs | Offset laterally | X | Offset medially | |||||||||
| Stance of Hindlegs | Acute hock angle | X | Straight hock angle | |||||||||
| Stance of Hindlegs | Tarsal valgus | X | Tarsal varus | |||||||||
| Stance of Fetlocks (front) | Over-extended | X | Upright | |||||||||
| Stance of Fetlocks (back) | Over-extended | X | Upright | |||||||||
| Shape of Feet | Wide | X | Narrow | |||||||||
| Heels | High | X | Low | |||||||||
| Symmetry of the Shoulder Girdle | Symmetrical | X | Asymmetrical | |||||||||
| Symmetry of the Pelvic Girdle | Symmetrical | X | Asymmetrical | |||||||||
| Quality of Legs: Tendon Sheaths | No effusions | X | Effusions | |||||||||
| Quality of Legs: Joints | No effusions | X | Effusions | |||||||||
| Correctness of Walk: front legs | Toed in | X | Toed out | |||||||||
| Correctness of Walk: hind legs | Toed in | X | Toed out | |||||||||
| Correctness of Trot: front legs | Toed in | X | Toed out | |||||||||
| Correctness of Trot: hind legs | Toed in | X | Toed out | |||||||||
| Muscle / Body | ||||||||||||
| Muscle Development | Well muscled | X | Poor | |||||||||
| Body Condition Score | Underweight | X | Overweight | |||||||||
| Growth Plate Development | ||||||||||||
| Knee: Right Front | Normal | X | Abnormal | |||||||||
| Knee: Left Front | Normal | X | Abnormal | |||||||||
| Hock: Right Hind | Normal | X | Abnormal | |||||||||
| Hock: Left Hind | Normal | X | Abnormal | |||||||||
| Fetlock: Right Front | Normal | X | Abnormal | slight epiphysitis | ||||||||
| Fetlock: Left Front | Normal | X | Abnormal | " | ||||||||
| Fetlock: Right Hind | Normal | X | Abnormal | |||||||||
| Fetlock: Left Hind | Normal | X | Abnormal | |||||||||
| Foot Balance | ||||||||||||
| Foot Balance: Right Front | No issues | X | Attention needed | |||||||||
| Foot Balance: Left Front | No issues | X | Attention needed | |||||||||
| Foot Balance: Right Hind | No issues | X | Attention needed | |||||||||
| Foot Balance: Left Hind | No issues | X | Attention needed | |||||||||
| Conformation - Frame | ||||||||||||
| Body Shape | Rectangular | X | Square | |||||||||
| Body direction | Uphill | X | Downhill | |||||||||
| Length of legs | Long | X | Short | |||||||||
| Head-neck connection | Light | X | Heavy | |||||||||
| Length of neck | Long | X | Short | |||||||||
| Position of neck | Vertical | X | Horizontal | |||||||||
| Muscling of neck | Heavy | X | Poor | |||||||||
| Shape of neck | Arched | X | Straight | |||||||||
| Height of whithers | High | X | Flat | |||||||||
| Length of whithers | Long | X | Short | |||||||||
| Position of shoulder | Sloping | X | Straight | |||||||||
| Length of shoulder | Long | X | Short | |||||||||
| Line of the back | Roached | X | Weak | |||||||||
| Line of the loins | Roached | X | Weak | |||||||||
| Shape of the croup | Sloping | X | Flat | |||||||||
| Length of the croup | Long | X | Short | |||||||||
| Tail set | Low | X | High | |||||||||
| Frame Mark | 8.5 | |||||||||||
| Frame Comment | ||||||||||||
| A very nice harmonious type with very good topline | ||||||||||||
| Movement - Walk | ||||||||||||
| Length of stride | Long | X | Short | |||||||||
| Freedom of shoulder | A lot | X | Restricted | |||||||||
| Rhythm | Regular | X | Irregular | |||||||||
| Topline | Elastic | X | Stiff | |||||||||
| Engagement | Energetic | X | Dragging | |||||||||
| Walk Mark | 8.25 | |||||||||||
| Walk Comment | ||||||||||||
| developing a super rhythm with very nice energy | ||||||||||||
| Movement - Trot | ||||||||||||
| Length of stride | Long | X | Short | |||||||||
| Freedom of shoulder | A lot | X | Restricted | |||||||||
| Elasticity | Elastic | X | Stiff | |||||||||
| Impulsion | Rounded | X | Weak | |||||||||
| Balance | Carrying | X | Pushing | |||||||||
| Trot Mark | 8 | |||||||||||
| Trot Comment | ||||||||||||
| for a showjumper, a very nice trot showing elevation and power | ||||||||||||
| Movement - Canter | ||||||||||||
| Length of stride | Long | X | Short | |||||||||
| Freedom of shoulder | A lot | X | Restricted | |||||||||
| Elasticity | Elastic | X | Stiff | |||||||||
| Impulsion | Rounded | X | Weak | |||||||||
| Balance | Carrying | X | Pushing | |||||||||
| Canter Mark | 7.75 | |||||||||||
| Canter Comment | ||||||||||||
| covering the ground well, the hocks need to step more underneath the body for more lift and expression | ||||||||||||
| Total Mark | Overall comment | |||||||||||
| 8.2 | GOLD | a very attractive and harmonious foal with active, ground covering gaits, a very promising prospect for the future | ||||||||||
|
SILVESTER
A.E.S.
99009015
1999
GREY |
CARTHAGO Z
HOLST
276321210021987
1970
GREY 1.71m |
CAPITOL I
HOLST
276321210615475
1975
GREY 1.69m |
CAPITANO |
| FOLIA | |||
|
PERRA
HOLST
276321210044578
1970
BROWN 1.70m |
CALANDO I | ||
| KERRIN | |||
|
NOTRE DAME
KWPN
528003199511821
1995
BLACK 1.65m |
VOLTAIRE
HANN
DE331310165679
1979
BROWN 1.68m |
FURIOSO II SF 25000159040975B 1965 | |
| GOGO MOEVE HANN DE331311332775 1975 | |||
|
DIADEEM
KWPN
528003198501393
1985
BROWN 1.65m |
NIMMERDOR KWPN 147 1972 | ||
| PASSE KWPN 20024 1974 | |||
|
DOVELLA
528003000812393
2038
BROWN 1.66m |
TYGO
528003200003778
1970
DARK BROWN 1.67m |
NUMERO UNO
KWPN
528003199503822
1995
BROWN 1.68m |
LIBERO H HOLST 276321210111681 1981 |
| JOLANDA KWPN 528003199107457 1991 | |||
|
DOMINE
528003198500012
1970
DARK BROWN 1.63m |
PURIOSO OLDBG 244 1974 | ||
| VICOMIE 795917 1970 | |||
|
WOVELLA XIV
0300534
2038
CHESTNUT 1.71m |
JUMBO JET
528003199104541
1970
BAY 1.74m |
CONCORDE KWPN 528003198404140 1970 | |
| DELKATE 528003198505193 1970 | |||
|
HELLA XIV
DE321210153093
1970
BROWN |
LAURIES CRUSADOR XX XX DE306062413085 1985 | ||
| DOVELLA DE321210211689 1970 |